user

gINT Collector

By Bentley
Data Management

Description

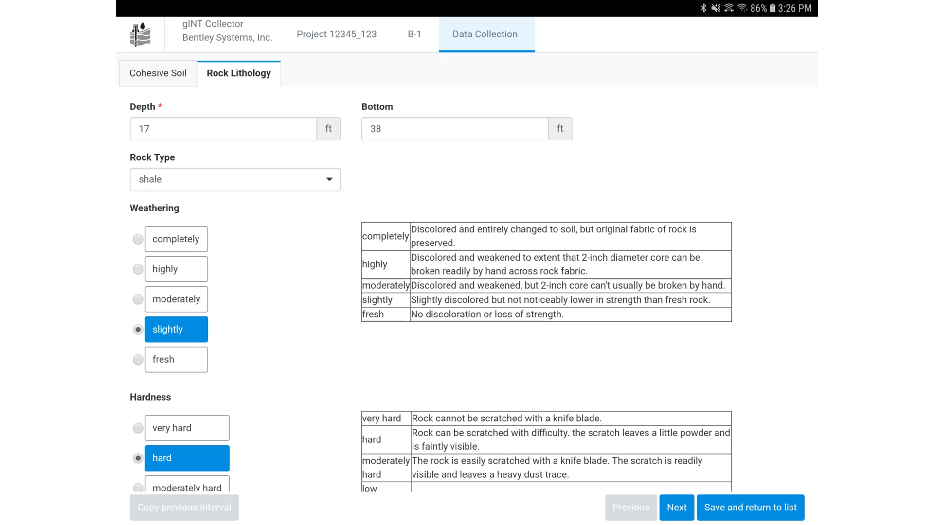
gINT Collector requires the use of gINT Administrator to create the forms that will be tightly integrated with your gINT projects. The ease of use lets you customize the interface to meet your organization standards and help the field crew to do their work more efficiently.

Enter data one time, in the field - Eliminate the time-consuming and error-prone process of transcribing pen-and-paper field logs.

Field to office - Data collected in the field can be synchronized to the cloud and loaded into gINT any time.

This enables more-informed decision making and adjustments to the field program while the crew is still on-site, as well as accelerates turn-around time for logs and preliminary analysis.

Simple customizable interface - gINT Collector comes with a dedicated tool for building the data collection interface. Forms can be built in minutes.

Keep up with the pace of drilling - Optimize the interface for rapid data collection by utilizing radio buttons, check boxes, lookup lists, and other options, as well as leverage handwriting recognition and voice-to-text technology.

Collect consistent and complete data - Load lookup values from your gINT Library File to ensure descriptions use standardized terminology. Required fields and other options ensure that all necessary data is collected in a usable format. This not only improves the quality of data, but also reduces the log revision process.
Easily import data into your gINT project - Data collection forms are linked directly to your gINT data template (database structure) so no data conversion or complicated data mapping is required. Data can be easily imported into a gINT Project File (GPJ) or SQL Server database.

Advanced Data Synchronization - gINT Collector supports both connected and disconnected workflows. When a connection is available, data can be transferred to the office in minutes. When field crew operate in places where there is no connection, data can be collected normally and synchronized when a connection is available.

Multi user application - gINT Collector is a multi-user application which enables multiple field crews to work in parallel on the same project. Field crews can reference other boreholes from the app to better understand site conditions while work is underway.

Specifications

Licence:
Commercial
Provider:
Bentley
Platforms:
Mobile - Android
Version:
2.0.0

Videos